아파트 최상층 거주자 , 누수누전으로 인해 전기차단기 내려가는 증상

하자관련 질문/사례
질문 전에 먼저 검색을 해주세요.


아파트 최상층 거주자 , 누수누전으로 인해 전기차단기 내려가는 증상

G 제발좀 쉬자 1 1,957 03.03 22:51

 

 

 

우선 아파트 하자관련 글은 더이상 남기지 말라는 글을 보았지만  비슷한 사례인거같아 읽어보아도 

비슷한 사례인것인지 판단이 잘 되지 않아 결국 글을 남겼습니다. 

최근 약 4~5회간 전기차단기가 떨어지면서 생활의 질이 많이 떨어지고 ....안전에 대한 불안도도 높아진 상태라 실례를 무릎쓰고 글을 남깁니다. ㅠㅠ 

 

 

 

아파트 최상층 거주자입니다. 

제가 사는곳은 최상층외 서비스면적인 다락방이 제공되어있고 

다락방내에서도 난방시설이 설치되어있습니다 

 

2025년 1월 30일 부터 현재까지 전기차단기 떨어지는 증상이 약 4회 발생하였습니다 

차단기도 2번 5번 차단기가 번갈아가면서 말썽이었고 , 

물방울이 확인된 구역은 아래와 같습니다 

 

 

1) 거실 인터폰 자리 pvc 전선관 안에서 누수 ? 

2) 다락방 샷시 고정 피스에서 물고임 증상 및 샷시 하부 물고임현상 

3) 다락방 개별 보일러 분배기함 내부 구멍에서 물방울 맺힘 현상 

이중 지붕 보수로 인해 ( 최근 우레탄 실리콘 보수 ) 1번과 2번은 어느정도 해소가 된거 같구요 ..

지붕 노후화로 교체를 좀 했으면 좋겠지만 .. 이건 현실적으로 바로는 어려운듯 하구요 

 

3번이 문제인데 .... 

3번의 경우 관리소에선 결로같다고 합니다. 

 

다락방은 현재까지 전기 사용 불가하고 , 이곳은 전기를 끊어두었습니다 

그리고 아래층 실내는 전체 사용중인데 , 며칠전  5번 차단기가 또 내려갔습니다. 

다락방 분배기함을 어제 다시 살펴보니 테이프로 막아진 공간이 뒤쪽에 숨어있었고 뜯어보니 이안에서도 

전선이 연결되어 있더라구요 

여기서도 물방울이 맺혀져 있는게 보입니다 . 

 

5번 차단기와 연결된 전기 라인은 

세탁실 , 보일러실 , 거실 화장실 벽면인데 

세탁실과 보일러실에 확인된 누수는 없습니다, 

다른 방 콘센트에 멀티탭 연결하여 가동해보면 보일러건 세탁기건 잘 돌아갑니다. 

 

다만 거실화장실이 걸리는게 그위가 다락방이고 , 다락방의 보일러분배기함 인근인데 

여기서 생긴 물방울이 영향을 주는게 아닌가 싶습니다. 

전기 기사를 불러서 누전선 복구및 전원 정상화 작업을 진행하라고 하는데요( 관리사무소 측 . 자기내 인력으로는 해결 불가 ) 

이게 만약 누수라면 누수부터 잡고 해결해야 할 문제인거 같아서 선뜻 전기 공사를 하는게 맞나 싶고 

만약  결로라면 전기 작업시 ....단순히 배선만 교체한다거나의 문제가 아닌 

 습기와 결로를 어떻게 해결하고 작업을 해야하나 해서 글을 남겨봅니다 . 

물론 이게 원인인지 백프로는 알수없지만요 

 

사진 몇개 올려봅니다 


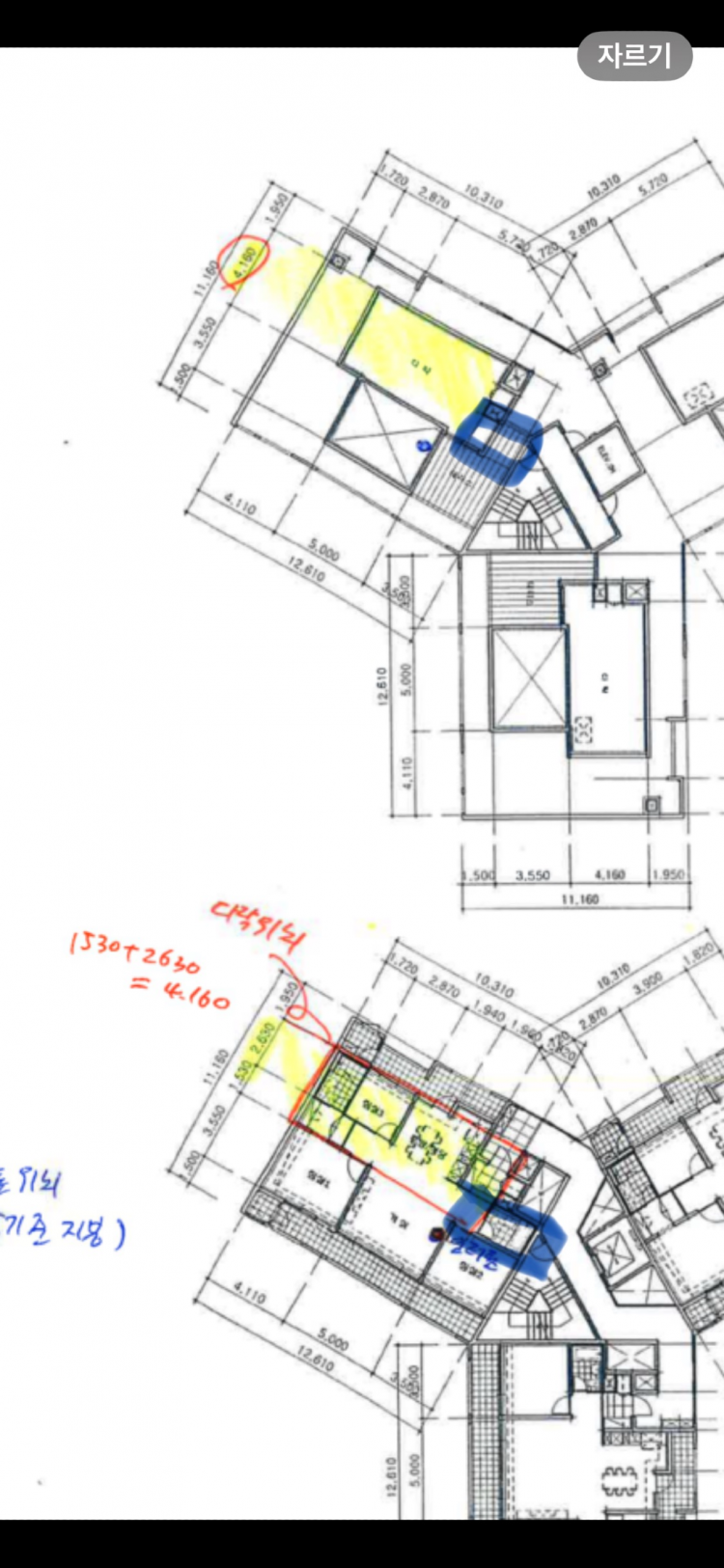
저희집 도면 이구요 ( 파란색 네모 표시는 다락분배기함 위치와 , 거실 화장실 위치 표기해 둔것입니다 ). 

다락방 보일러분배기함 현황입니다 

KakaoTalk_Photo_2025-03-03-22-33-40.png

 

KakaoTalk_Photo_2025-03-03-22-44-17 001.jpeg

 

KakaoTalk_Photo_2025-03-03-22-21-15 004.jpeg

 

KakaoTalk_Photo_2025-03-03-22-44-18 002.jpeg

 

KakaoTalk_Photo_2025-03-03-22-21-14 002.png

 

 

 

 

 

 

 

 

그리고 바깥은 외벽으로  되어있구요 , 보일러분배기 위치 인근에 저렇게 환기구가 설치되어있습니다 

 

KakaoTalk_Photo_2025-03-03-22-21-16 007.jpeg 

Comments

M 관리자 03.05 21:32
누수라면 계절을 타지 않고, 결로라면 계절의 영향이 있습니다.
그러므로 당장은 불안하시겠지만, 다음 주는 날씨가 풀린다고 하니 다음 주를 조금 더 넘길 때까지 지켜 보시는 것이 좋겠습니다.

현재의 현상은 결로에 가까워 보이긴 하나, 관 내부에 결로수가 있는 상태에서는 공사도 어려우므로 우선은 시간을 가지는 것이 좋겠습니다.

관내 결로 현상은 아래 글이 도움이 될 수 있습니다.
https://www.phiko.kr/bbs/board.php?bo_table=z4_03&wr_id=33393
https://www.phiko.kr/bbs/board.php?bo_table=z4_03&wr_id=22830
Category