용도 불명의 3개 배관 문의

하자관련 질문/사례
질문 전에 먼저 검색을 해주세요.


용도 불명의 3개 배관 문의

1 잘할수있어 14 2,686 02.21 13:31

제가 그림판으로 그린 것 처럼 빨간색 박스 부분을 까내어보니, 수도배관이 3개 쪼르르 뭍혀있었습니다.

 

까낸 위치에 부동전을 설치하려고 했는데, 이 배관이 수도계량기로 들어가는 상수도인입 배관일 수도 있을까요?

 

배관 표면에 수도용이라고 적혀있습니다.  만약 제가 올린 정보로만 알 수 없다면, 제가 상수도인입배관인지 아닌지 어떻게 확인할 수 있을까요??

수도관문의.png

 



KakaoTalk_20220327_153728854_01.jpg

 

 


 

Comments

M 관리자 2022.03.27 18:20
건축 허가시 제출되었던 도면이 없으실까요?
11 잡자재 2022.03.27 21:51
계량기의 구경이 15mm이면 인입배관도 15mm입니다. 양쪽의 구경을 확인해보시기 바랍니다. 가장 정확한건 초음파유량계로 물을 쓸 때 유체의 흐름을 확인하는 방법입니다. 혹은 열화상으로 찍어봐도 온도차로 확인이 가능할 것 같습니다.
17 허수할범 2022.03.27 21:53
좀 무식한(?) 방법이기는 하나 한 분이 수도꼭지를 확 틀었다 확 잠그기를 반복하고 동시에
다른 한 분이 사진 상의 파이프에 손을 대면 수압이 어느 정도 이상인 인입배관의 경우
약간의 진동이 손으로 느껴질 때가 있습니다.
1 잘할수있어 2022.03.27 22:18
답변감사드립니다! 그리고 관리자님께서 말씀하신 건축허가시 도면을 한번 살펴보겠습니다!
1 잘할수있어 2022.03.27 23:35
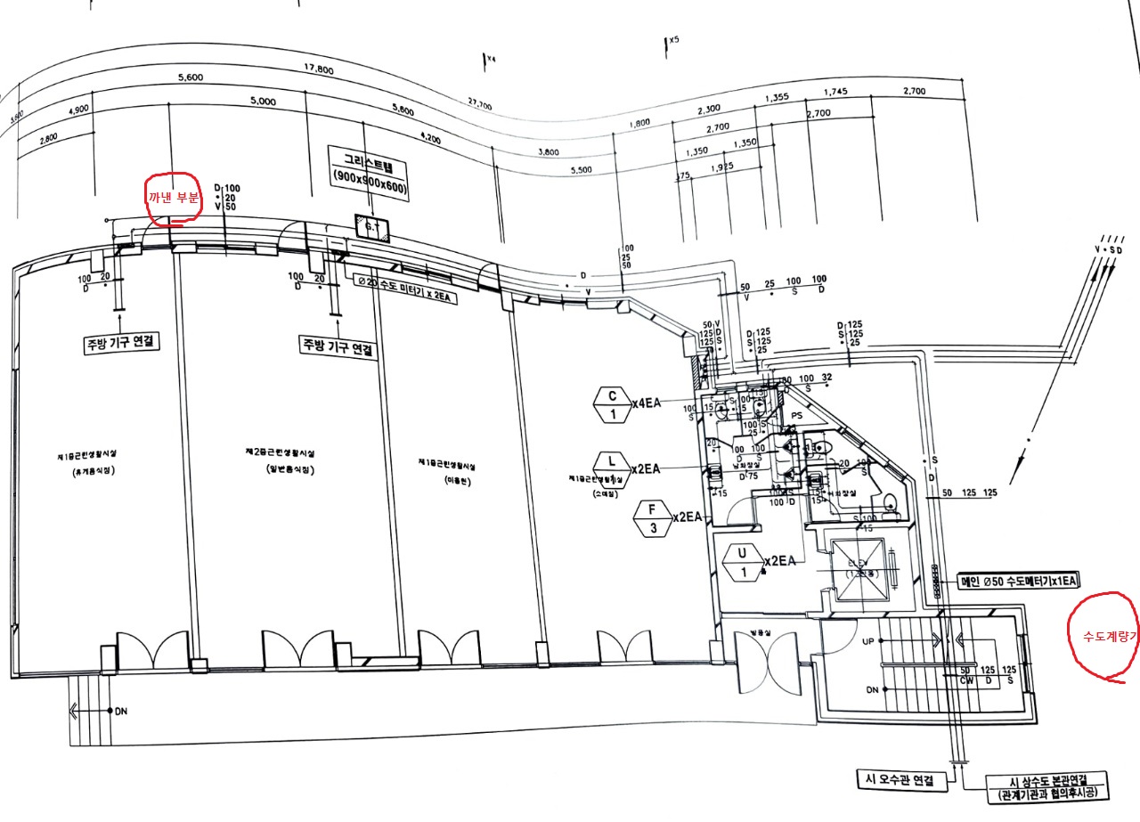
건축도면을 찾아봤는데, 제가 도면을 볼줄 모르니 뭐가뭔지 모르겠네요 ㅠㅠ 아마 상수도 인입관은 아닌것 같은데.... 맞나요?

첨부파일로 배관연결도 올렸습니다
!
M 관리자 2022.03.28 10:01
도면에서는... 셋 중에 하나가 25mm 급수관이고, 나머지 두 개는 하수관로인데.... 사진에서는 25mm 급수 구경이 보이지 않는 상태입니다.
17 허수할범 2022.03.28 10:08
상수도 급수관이 25mm로 오다가 중간에 각 실로 20mm로 다운되어 분배 되었고,
배수관 100mmd와 통기관 50mm가 설치된 것은 아닌지요?
M 관리자 2022.03.28 10:33
네^^ 정확하세요.. 말씀하신 것이 맞습니다. 퉁쳐서 말씀드려 죄송합니다. ㅠ
1 잘할수있어 2022.03.28 13:08
허수할범님, 제가 궁금한게 셋다 수도용 파이프로 설치되어있는데, 도면과 다르게 설치했지만 그 용도로 사용되고 있다고 예상하면 될까요?
17 허수할범 2022.03.29 00:13
재질보다는 우선 사이즈를 검토해 보세요.
혹시 모두 20mm의 규격이라면 배수관과 통기관은 아닙니다.
따라서 그 용도로 사용이 불가능합니다.
수도용으로 표기되어 있어도 사이즈만 지켜 사용되었다면 제가 알기로는 상관없습니다.
PVC파이프는 VG1, VG2로 구분되는데 VG1이 좀 더 두꺼워서 가격도 1.5배 이상이고
좀 더 큰 압력을 견뎌 낼 수 있습니다. 그래서 콘크리트에 매립되는 경우 VG1을 주로 사용합니다.
사진으로는 분간이 어렵네요.
1 잘할수있어 2022.03.29 16:18
허수할범님, 제가 pvc배관은 많이 봐서 pvc 배관이 아닌건 확실하고, 셋다 엑셀배관입니다.

엑셀 배관이라면 셋다 수도용이라고 보면 되겠죠?? 기존에 저쪽으로 수도꼭지를 하나 빼려고 했다고 알고 있어서, 당연히 하나만 뭍혀있겟거니 하고 깠는데 세개나 깔려있어서 당황스럽네요....
M 관리자 2022.03.29 22:05
아.. 사진으로는 매우 굵은 배관처럼 보입니다. 그래서 저를 포함한 다른 분들도 모두 혼돈이 있었던 것 같습니다.
엑셀배관이라면 모두 수도용 밖에는 없을 것 같습니다. 거기에 왜 세 개가 있는지 저도 당황스럽습니다.
17 허수할범 2022.03.30 14:10
저는 왼쪽이 비교적 하얗게 보여서 엑셀로 봤고 나머지는 푸르딩딩해 보여서
일반 PVC파이프로 봤네요.
사용가능한 라인은 찾으셨나요?
1 잘할수있어 2022.03.31 23:18
아니요... 아직 사용가능한 라인은 못찾았습니다. 바로 뒷편에 휴게음식점 용도로 구분한상가가 하나 있는데, 아마 그쪽으로 하나 들어가는 것일것 같습니다.

우선 답변주신분들 말씀 들어보니, 상수도인입 라인은 아닌 것 같아서 따로 찾지 않고 상가 전체 수도계량기를 잠근 후,배관 중간부분 절단, 이경T밸브 작업 후 거기에 부동전을 연결할까 합니다. 그러면 부동전도 사용 가능하고 기존 배관도 사용가능하지 않을까 생각되어서요...

가능할까요?!
Category